Avant de choisir une structure ou de dessiner un plan, il est préférable de valider trois points qui déterminent la réussite du projet :
- 1. Les règles d’urbanisme, car le PLU peut imposer des contraintes d’implantation, de hauteur ou d’aspect.
- 2. Le relevé des dimensions réellement disponibles, afin d’éviter une pergola surdimensionnée, mal positionnée ou incompatible avec la façade.
- 3. La gestion solaire, car avec le cas d’une pergola bioclimatique, l’orientation des lames doivent répondre aux conditions d’ensoleillement réelles. Cet article présente une méthode simple pour passer de ces contraintes à un choix d’implantation et de structure cohérent.
Le cadre PLU et les contraintes d’implantation
L’implantation d’une pergola commence par la lecture des règles applicables, car elles peuvent imposer des limites qui orientent immédiatement le projet. Le PLU, et parfois un règlement de lotissement ou une zone protégée, peuvent définir des contraintes de recul, de hauteur, d’aspect extérieur, ou de positionnement par rapport aux limites séparatives.
Même quand une pergola semble simple, ces règles peuvent limiter la profondeur, interdire certaines couvertures, ou imposer une cohérence de teintes et de matériaux. L’objectif de cette étape est de sécuriser l’emplacement et le gabarit avant de passer du temps sur une conception qui serait difficile à valider.
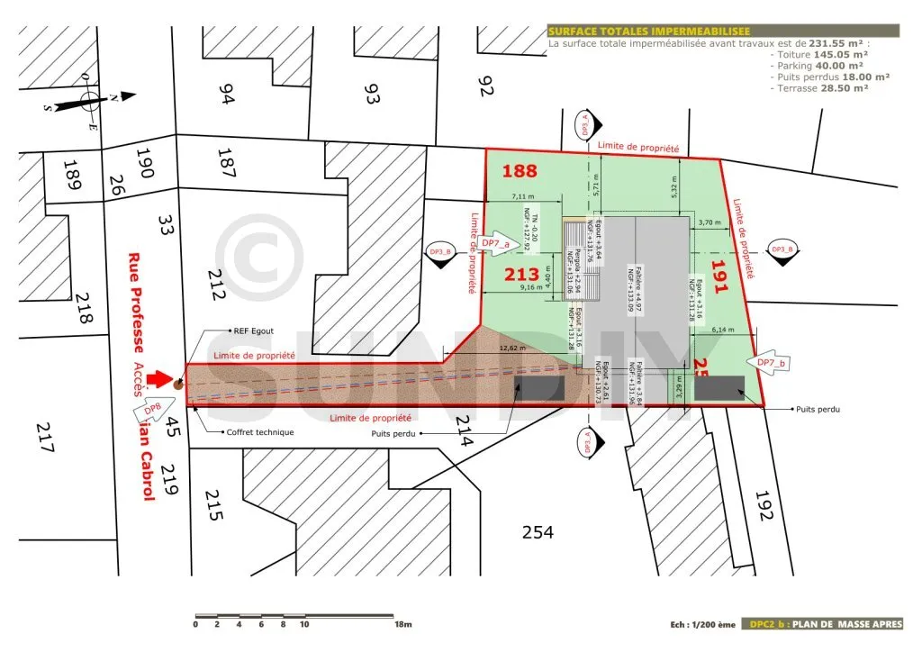
À titre d’exemple (PLU « type » d’une commune en zone U pavillonnaire), le règlement peut imposer : un recul minimal vis-à-vis de la voie (ex. 5 m pour les constructions/ouvrages couverts), un retrait aux limites séparatives (ex. distance ≥ H/2 avec un minimum de 3 m, ou implantation en limite seulement si la hauteur reste limitée), une hauteur maximale pour les annexes/pergolas (ex. 3,20 m), ainsi qu’un encadrement de l’emprise au sol et de l’imperméabilisation (ex. pourcentage maximum de surfaces imperméabilisées et obligation d’infiltration à la parcelle).
Appliqué au plan de masse présenté, la pergola projetée, adossée à la façade et implantée à l’intérieur de la parcelle, doit être vérifiée au regard des cotes de retrait indiquées : la distance se mesure depuis l’ouvrage débord compris (lames/couverture, gouttière), afin de confirmer la conformité à la règle de retrait (ex. 3 m mini). Si la pergola est considérée comme une surface couverte, elle est en principe comptabilisée dans l’emprise et peut contribuer à la surface imperméabilisée, ce qui justifie la présence et/ou le dimensionnement d’un dispositif d’infiltration (type puits perdu) mentionné sur le plan.
Enfin, l’aspect extérieur peut être prescrit : structure bois ou aluminium thermolaqué dans des tons sobres (anthracite, gris, blanc cassé), finitions mates, et interdiction des couvertures réfléchissantes ou trop visibles depuis l’espace public, afin de garantir une insertion cohérente dans le quartier.
Le relevé des dimensions disponibles sur site
Avant de choisir une structure, il faut mesurer ce qui est réellement disponible. Les dimensions ne se limitent pas à la largeur et à la profondeur. Il faut intégrer les obstacles et les marges nécessaires, comme les débords de toiture, les descentes d’eau, les coffres de volets, les ouvertures, les luminaires existants, et les zones de circulation. La hauteur est un point clé, car elle conditionne le confort, la perception du volume, et la compatibilité avec certains systèmes. Ce relevé doit conduire à un gabarit réaliste, c’est-à-dire une largeur, une profondeur et une hauteur qui tiennent compte du quotidien, du mobilier et des contraintes du bâti.
Sur ce projet, l’objectif principal est de créer de l’ombre sur la terrasse et de protéger la baie vitrée (1).
D’après le PLU, il n’existe pas de restriction particulière concernant la hauteur de la pergola. Le terrain n’est pas situé en zone protégée et ne se trouve pas à proximité d’un monument historique.
Sur la façade concernée, il existe déjà un auvent. C’est à partir de cet ouvrage que sera définie la longueur de la pergola, c’est-à-dire la largeur disponible le long de la façade (5).
Cette façade comprend : une baie vitrée (1), une porte-fenêtre, un volet coulissant (3) avec son coffret (4), ainsi qu’une descente d’eau pluviale (6).
Avec l’ensemble de ces informations, il est déjà possible de déterminer le type de pergola adapté au projet. En revanche, le positionnement précis des poteaux dépendra des calculs de dimensionnement. Il est donc possible qu’un poteau tombe au milieu d’une ouverture, ce qui rend la solution d’une pergola adossée particulièrement pertinente dans ce cas.
- (7) : largeur de la baie (utile afin d’éviter les poteaux au milieu des ouvertures.
- (8) : niveau des coffrets (utile pour déterminer la hauteur sous poutre).
Le choix du type de structure à partir des contraintes
Une fois les dimensions disponibles confirmées, le type de structure se décide plus facilement. Une pergola adossée est souvent pertinente quand l’accès et l’usage sont liés à la maison, mais elle dépend d’une façade capable d’accueillir une fixation fiable et durable. Une pergola autoportante devient préférable quand la façade est complexe, quand l’emplacement utile est décalé, ou quand le projet doit structurer une zone du jardin. Le gabarit mesuré influe aussi sur la structure, car certaines portées et certaines profondeurs imposent des choix plus rigides, des appuis différents, ou une trame de poteaux plus adaptée à l’usage.
La gestion solaire pour fixer l’orientation et l’usage des lames
L’implantation doit ensuite être relue avec le soleil, car l’ombre n’est pas la même selon l’heure et la saison. La gestion solaire consiste à identifier les périodes gênantes, comme le soleil rasant du matin ou de fin d’après-midi, et les périodes recherchées, comme l’ombre au moment des repas. Cette analyse sert à positionner la pergola au bon endroit, mais aussi à choisir l’orientation des lames si la pergola est bioclimatique. L’orientation des lames doit permettre de maîtriser l’entrée de lumière, de limiter l’éblouissement, et de favoriser une ventilation agréable. L’objectif n’est pas seulement d’avoir de l’ombre, mais d’obtenir une ombre efficace au moment utile, tout en gardant une sensation d’espace et une lumière maîtrisée.
Exemple 1 : Maison en France, terrasse plein Sud, usage principal : déjeuner (12h–15h)
En été, le soleil est surtout gênant à la mi-journée, car il est très haut. Dans ce cas, ce n’est pas le sens des lames qui fait la différence, mais leur inclinaison. On choisit donc le sens des lames surtout pour que la pergola soit pratique à utiliser et simple à installer. Une solution courante est de mettre les lames parallèles à la façade, car la pergola prolonge naturellement la baie vers le jardin et l’évacuation de l’eau se fait plus facilement loin du mur. Ensuite, en été, on incline les lames pour créer de l’ombre tout en laissant circuler l’air, puis on les ouvre davantage en mi-saison pour laisser entrer plus de lumière.
Exemple 2 : Maison en France, terrasse Ouest, usage principal : fin d’après-midi / apéro (17h–20h)
Sur une terrasse à l’ouest, le soleil arrive bas en fin d’après-midi. Pour l’ombre, le sens des lames n’est pas le levier principal : ce qui marche le mieux est souvent un écran vertical côté ouest (store screen, panneau, claustra). En revanche, c’est la ventilation qui dicte l’orientation des lames, alors le vent dominant devient un critère utile pour choisir l’orientation des lames et surtout pour décider quel côté rester ouvert.
- Cas A : vent dominant venant de l’Ouest ou du Nord-Ouest (cas fréquent en France), pour le sens des lames, si le vent vient de l’ouest, le flux va globalement ouest → est. Pour favoriser la ventilation par le toit, il est logique d’orienter les lames dans le sens du flux, donc est–ouest. Sur une façade ouest (mur aligné nord–sud), cela correspond le plus souvent à des lames perpendiculaires à la façade.
- Cas B : vent dominant venant du Nord ou du Sud, ici, le vent glisse plutôt le long de la façade. Le flux est nord → sud (ou l’inverse). Pour favoriser la ventilation, on oriente les lames nord–sud, donc parallèles à la façade (toujours dans le cas d’une façade ouest). L’écran solaire côté ouest reste utile pour le soleil rasant, mais il ne pénalise pas autant la ventilation puisque le vent ne vient pas majoritairement de l’ouest.
La validation de l’implantation avant conception détaillée
L’implantation est considérée comme validée quand elle respecte les contraintes du PLU, qu’elle s’inscrit dans une relation cohérente avec la maison, et qu’elle repose sur un relevé de dimensions fiable. Elle doit aussi fonctionner avec la logique solaire, afin que l’ombre et la lumière correspondent à l’usage réel, et que l’orientation des lames soit un choix cohérent plutôt qu’un réglage subi. Une fois ces points stabilisés, la conception peut entrer dans le détail, avec la définition de la trame de poteaux, des ancrages, des équipements et des choix techniques liés au vent et à l’évacuation des eaux.








